In der Nacht hat es weiter geregnet, und auch am Morgen weht eine steife Brise mit kräftigen Böen. Der Himmel ist nahezu vollständig bedeckt. Was das wohl für unsere heutige Aktivität bedeutet – den Schnorchel-Trip im Hol Chan Marine Reserve?
Ein kleines Frühstück bereiten wir uns in der Gemeinschaftsküche der Shipwreck Cove selbst zu. Anschließend machen wir uns zu Fuß auf den Weg in die Stadt. Wir halten zunächst an einem Geldautomaten und stehen schließlich um halb zehn bei „Ragga Sailing Adventures“. Wir sind die Ersten, doch nach und nach treffen weitere Teilnehmer ein: zuerst eine Französin, dann ein sehr nettes Paar aus den Niederlanden. Insgesamt wächst die Gruppe auf etwa 20 Personen an, sodass wir schließlich auf zwei Segekboote aufgeteilt werden.

Mit unserem Boot fahren wir nordwärts Richtung Ambergris Caye – allerdings unter Motor statt unter Segel, denn der Wind kommt direkt aus Norden. Die Farbe des Wassers erinnert heute verdächtig an die Nordsee – weit entfernt von karibischem Türkisblau.
Den ersten Schnorchel-Stopp legen wir an einem Korallengarten ein. Welch ein Timing: genau in diesem Moment scheint die Sonne von einem fast wolkenlosen Himmel und auch der Wind hat deutlich nachgelassen. Und jetzt stimmt auch wieder die Farbe des Wassers. Flossen an die Füße, Maske auf, Schnorchel in den Mund – und dann geht es vom Bootsrand ins Wasser. Schon beginnt die beeindruckende Tour: Unser Guide Salam schwimmt voraus, und die Gruppe folgt ihm durchs klare Wasser.
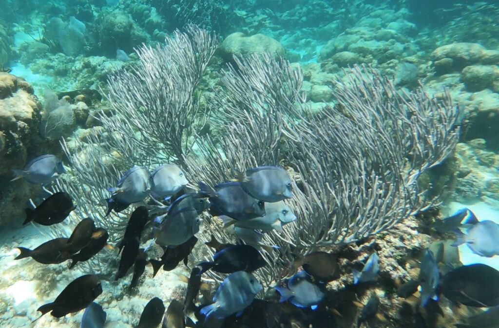
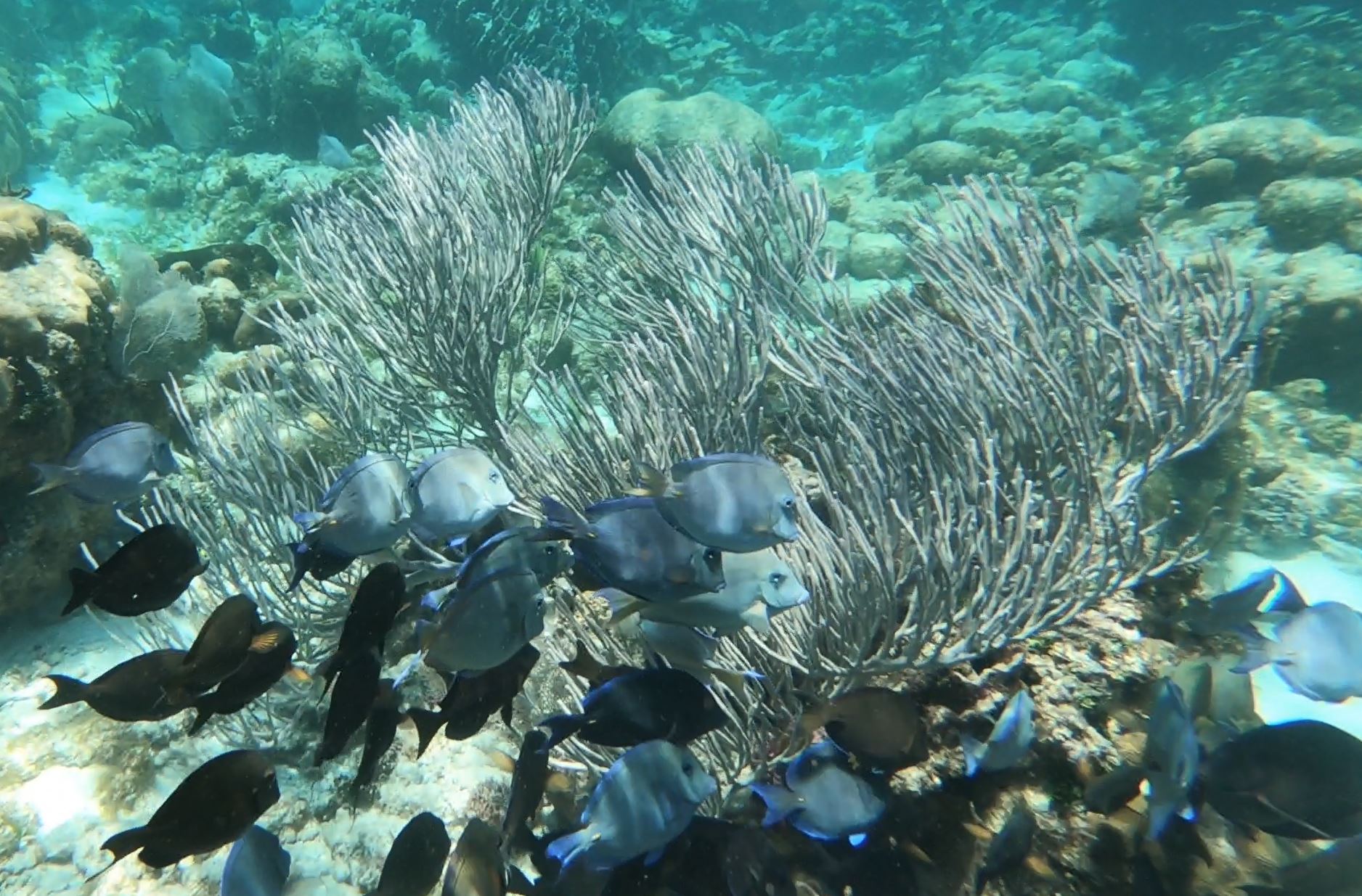
Schon nach wenigen Schwimmzügen entdecken wir eine große Meeresschildkröte am Meeresboden. Kurz darauf taucht sie mitten in unserer Gruppe zum Atmen auf – was für ein beeindruckendes Schauspiel! Die Korallen können hier allerdings bei Weitem nicht mit denen bei Placencia mithalten. Spätestens jetzt wird uns bewusst, wie besonders unsere Erlebnisse dort waren. Trotz der hier deutlich stärker ausgeprägten Korallenbleiche begegnen uns jedoch unzählige Korallenfische in den verschiedensten Farben und Formen. Auch größere Fische ziehen immer wieder an uns vorbei – Barrakudas und sogar einige Thunfischverwandte. Manchmal trennen uns nur wenige Zentimeter! Welch gelungener Auftakt – und weitere Stopps warten auf uns.


Der Guide Salam, der Skipper Charles sowie seine beiden Kollegen Mala und Terence bilden ein großartiges Team. Vor allem Salam beeindruckt mit seinen ausgeprägten Entertainer-Qualitäten.
Der nächste Schnorchelgang dauert – wie schon der erste – gut eine halbe Stunde. Er findet am äußeren Korallenriff statt und begeistert uns erneut. Die Vielfalt an Fischen in den unterschiedlichsten Formen, Farben und Größen ist einfach traumhaft! Auch diesmal begegnen wir wieder einer Meeresschildkröte, ein großer Adlerrochen zieht majestätisch an uns vorbei und zudem entdecken wir einen Hummer, der neugierig aus einer Felsspalte hervorlugt. Viel zu schnell vergeht die Zeit, und schließlich klettern wir wieder an Bord unseres Boots.
Nach jedem Schnorchelgang werden wir an Bord versorgt: Zunächst gibt es frische Wassermelonen- und Ananasstücke, später dann die belegten Baguettes, die wir bereits bei der Buchung des Trips ausgewählt hatten.
Für das dritte und letzte Schnorcheln steuern wir die sogenannte Shark Ray Alley an. Wie der Name schon vermuten lässt, stehen hier Haie im Mittelpunkt. Unser Touranbieter verzichtet konsequent darauf, die Tiere anzufüttern – im Gegensatz zu anderen Anbietern. Genau das ist auch der Grund, warum sich an dieser Stelle regelmäßig besonders viele Ammenhaie aufhalten. Also nichts wie wieder hinein ins Wasser, um diese ungefährlichen Tiere aus nächster Nähe zu erleben. Welch ein Erlebnis, so viele Haie um sich herum zu haben. Angst kommt dennoch bei uns nicht auf.


Wie gut, dass die Crew fünf Gallonen Rumpunsch mitgenommen hat. Er trägt nicht unerheblich dazu bei, dass die Stimmung auf der Rückfahrt nach CC ausgesprochen entspannt und ausgelassen ist. Aber auch das tolle Wetter, die gute Musik aus den Lautsprechern und die vielen netten Menschen an Bord leisten ihren Beitrag.
Längst hat der Captain das Segel gesetzt, und wir schippern langsam und bestens gelaunt zurück nach CC. Der Tag hat uns so gut gefallen, dass wir die gleiche Tour spontan für Sonntag noch einmal buchen.

